Hurricane Melissa made landfall in Jamaica as a monster Category 5 storm on Tuesday.
Montego Bay is taking a direct hit with the record-breaking storm packing 185 mph winds.
Multiple deaths have been reported so far.
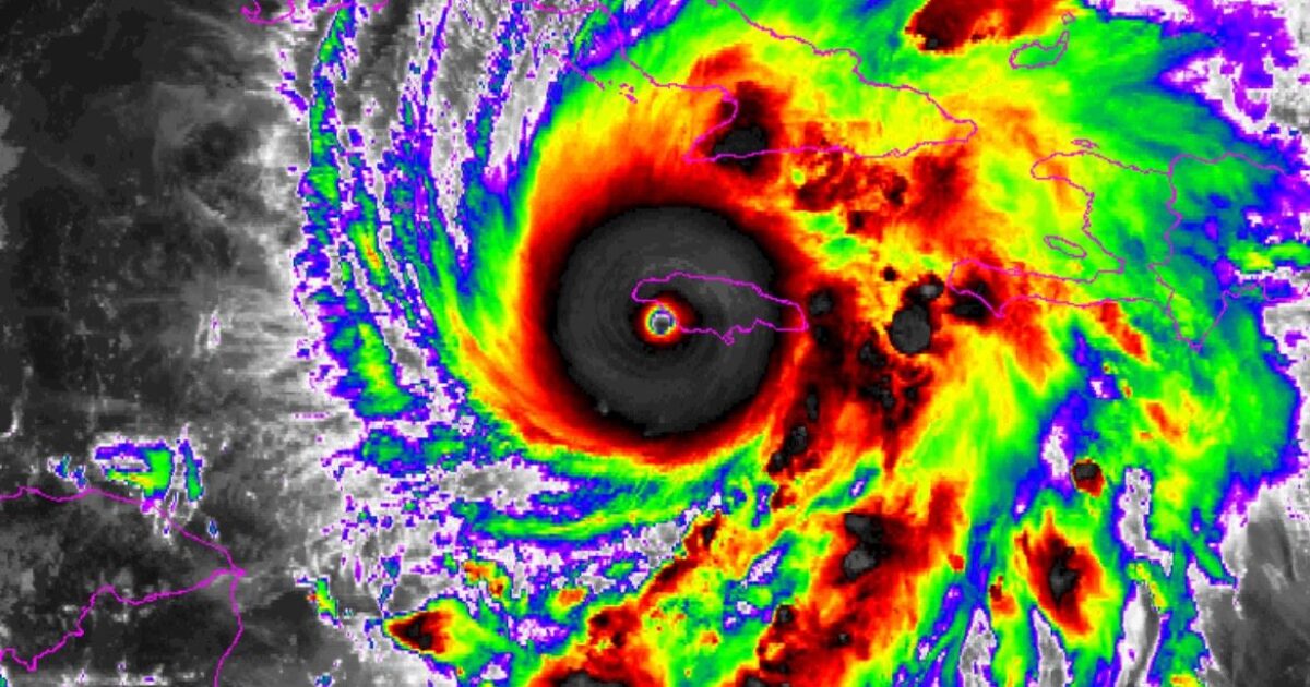
Satellite images show a very defined eye.
Hurricane Melissa makes landfall in Jamaica as category 5 storm / satellite image
The cone shows that Hurricane Melissa will likely turn east and avoid the United States.
Hurricane Melissa cone
AccuWeather reported:
The most powerful Atlantic hurricane of 2025 has plowed into Jamaica after days of unleashing heavy rain, strong winds and pounding surf across the Caribbean. The Category 5 storm was at peak strength when it roared ashore on Tuesday.
Melissa made landfall near New Hope, Jamaica, at 1 p.m. EDT Tuesday as a Category 5 hurricane with maximum sustained winds of 185 mph. It was the first time an Atlantic storm made landfall as a Category 5 since Hurricane Dorian in 2019.
At least seven fatalities have already been reported across the Caribbean due to the monstrous hurricane, which has been slowly tracking near Haiti, the Dominican Republic and Jamaica for days. The death toll is likely to rise as Melissa sweeps across Jamaica, eastern Cuba and the Bahamas.
“There is no infrastructure in the region that can withstand a Category 5,” Prime Minister Andrew Holness said, according to The Associated Press. “The question now is the speed of recovery. That’s the challenge.”
Storm chaser videos:
Via AccuWeather:
Live camera of Montego Bay, Jamaica:
LIVE CAM: The eye of Hurricane Melissa is approaching Montego Bay. We will be there LIVE as it happens. https://t.co/vf9ckNXG1z
— Off The Press (@OffThePress1) October 28, 2025
More:
The post WATCH LIVE: Hurricane Melissa Makes Landfall in Jamaica as a Monster Category 5 Storm (STORM CHASER VIDEOS) appeared first on The Gateway Pundit.










